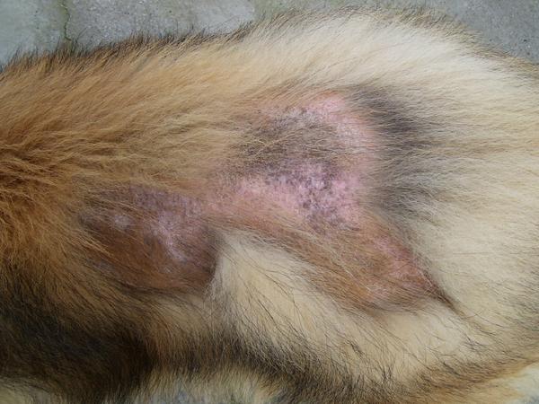
Claire goes to her forever home tomorrow and Zoe will be coming in right behind her. Zoe will be another Demodectic Mange case in which we will restore and Beautify the way she should be.
http://petoftheday.com/talk/picture....&pictureid=909
http://petoftheday.com/talk/picture....&pictureid=910
http://petoftheday.com/talk/picture....&pictureid=911
